UCD Research - August 2021
Effect of Digitisation of Veterinary Radiography Processing Systems on Image Quality and Radiation Safety
The diagnostic imaging unit in the UCD Veterinary Hospital has a longstanding clinical research history assessing radiographic image quality and radiation safety risks. Longitudinal studies on the effect of changing technologies are ongoing, often with the co-operation of veterinary practitioners from all around the Island of Ireland. Changes in the legislation under the Basic Standards Directive (EU Council Directive 2013/59/Euratom of 5 December, 2013) are now reflected by the revised Code of practice on the Application of the Ionising Radiation Regulation (IRR19) in Veterinary Medicine published in 2020.
In association with


Dr Cliona Skelly
MVB, PhD, DECVDI, DVR, PGDipUTL, MRCVS
Assistant Professor in Veterinary Diagnostic Imaging
EBVS® European and Irish Specialist in Veterinary Diagnostic Imaging
UCD Veterinary Hospital
University College Dublin
Email: cliona.skelly@ucd.ie
Computed radiography (CR) and digital radiography (DR) have significantly improved the standard of image quality when compared to wet processing systems. With the exception of equine practitioners (for whom a CR reader was impractical off-site), most entered the digital arena buying CR systems. The main advantages of the CR systems from an image quality perspective were the wide dynamic range and computerised image processing as this allowed for images to be adjusted to view both soft tissue and bone, and to compensate for suboptimal exposure factors.
More recently, as an increasing number of flat panel manufacturers enter the veterinary market, DR systems have become more affordable, and are replacing CR systems as the first choice for most veterinary practices. Currently however, there is little regulation regarding quality assurance standards of these systems. DR systems have a higher Detective Quantum Efficiency (DQE) than CR, so they detect more of the x-ray beam, delivering a higher signal to noise ratio (SNR), resulting in images that are clearer, with better contrast; and lower exposure factors can also be used.
Most of the DR systems use either Gadox or Caesium Iodide (CsI) as the scintillator material, the latter (CsI) being more expensive as it is more efficient. Following acquisition of the image, mathematical reconfigurations calibrates the image, enhancing underexposed areas and suppressing overexposed areas to give diagnostically acceptable images (this is an oversimplified explanation of the process).

Figure 1. The unique physicochemical properties of nanoscale materials are used to perform various activities, including drug delivery, biomedical imaging, and diagnostics (representative image). Photo: Sourav Bhattacharjee.
Poor exposure selection has some negative consequences for image quality. In digital radiography, recognition of over and underexposure can be difficult, although some systems have an exposure index and the manufacturer indicates a numerical range within which the exposure should lie. If the radiograph is underexposed, then a mottled or stippled effect will be visible, normally best seen on high density bone areas of the image.
In DR systems, overexposure of radiographs often leads to saturation of the detector that reduces the ability of the pixels to differentiate grey tonal variation and can lead to a flat, poor contrast image and, in extreme cases, visualisation of the calibration mask of the detector (Figure 1). It should also be remembered that the photostimulable phosphors (PSP) of CR systems are very prone to backscatter and, if high exposures are used, will result in grey, flat images (Figure 2). The PSP plates of the CR system also need to be erased prior to any exposure and may require a double erasure if high exposure factors have been used to reduce poor contrast images and the risk of ghost images being present (Figure 3).

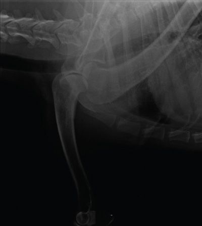
Figure 2. Mediolateral view of the shoulder (CR image): The radiograph of the shoulder is overexposed with poor positioning ( second shoulder superimposing) and inadequate collimation. The high exposure and large area in the primary beam have resulted in the generation of a lot of backscatter which PSP plates are very sensitive to, resulting in an image that is overly dark and grey with poor contrast.
Radiation Risks
In theory, the higher DQE of digital processing systems should result in lower exposure factors and reduce the risk of exposure of personnel to ionising radiation. However, the trend has been to maintain relatively high exposure settings and allow the CR and DR systems to compensate. In addition, due to the ease in taking radiographs, the average number of images taken per case in veterinary practice has more than doubled. In an in-house reject analysis of radiographs taken (and remembering that we are a training institution), we documented that almost 25% of our images were retaken, and the primary reason for this was inadequate positioning.
While this may not impact small animal practice where personnel leave the controlled area, it does represent a greater radiation risk to large animal practitioners and personnel, particularly those in equine practice. Future research analysing the additional information that the repeat radiographs give will determine to what extent the repetition rate is justifiable.
The other increased risk of digital processing systems is in relation to the image receptor (IR) for DR systems. The flat panel detector is expensive, can be easily damaged and is a lot heavier than a CR cassette. Consequently, a reluctance in using detector holders has resulted in increased risk of backscatter for personnel holding the IR.
Recognition of the differing radiation risks between large and small animal radiography is reflected in the new guidelines with large animal practices requiring licensing rather than registration. However, the onus remains with the radiation protection officer (RPO) of each practice to ensure that they comply with the legislation and minimise all radiation risk factors.

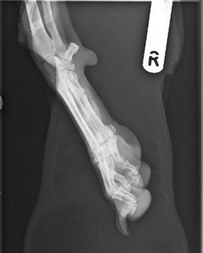
Figure 3. Mediolateral view of the right carpus and pes (CR image): a silhouette of the previous image – a DV thorax and cranial abdomen is visible with distal right forelimb superimposed. This is due to inadequate erasure of the PSP plate and residual ghosting of the thoracic image remains.
In association with


Dr Cliona Skelly
MVB, PhD, DECVDI, DVR, PGDipUTL, MRCVS
Assistant Professor in Veterinary Diagnostic Imaging
EBVS® European and Irish Specialist in Veterinary Diagnostic Imaging
UCD Veterinary Hospital
University College Dublin
Email: cliona.skelly@ucd.ie